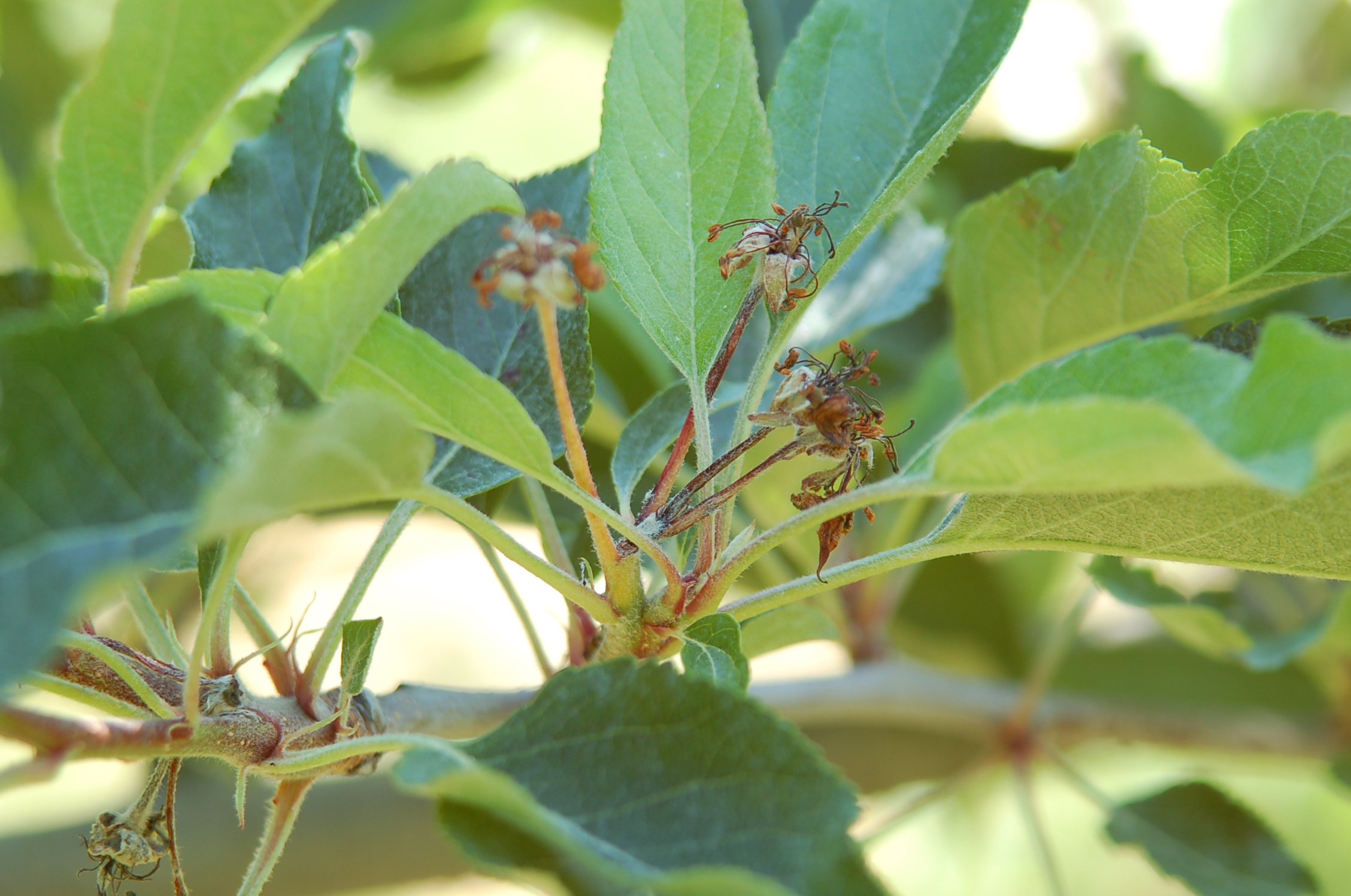
花(りんご)

上記EPPO原図









上記9枚農研機構原図
葉(りんご)






上記6枚植物防疫所原図



上記3枚農研機構原図
果実(りんご)

上記EPPO原図

上記農研機構原図
新梢(りんご)


上記2枚EPPO原図









上記9枚農研機構原図

植物防疫所原図
枝(りんご)


上記2枚植物防疫所原図

上記EPPO原図





上記5枚農研機構原図
主幹・主枝(りんご)








上記8枚植物防疫所原図






上記6枚植物防疫所原図
全体図(りんご)




上記4枚植物防疫所原図
花(なし)



上記3枚EPPO原図








上記8枚農研機構原図
葉(なし)



上記3枚EPPO原図
果実(なし)



上記3枚EPPO原図
新梢(なし)


上記2枚EPPO原図

植物防疫所原図
枝(なし)

上記EPPO原図
主幹・主枝(なし)


上記2枚EPPO原図
全体図(なし)



上記3枚EPPO原図
ビワ

上記EPPO原図
マルメロ






上記6枚EPPO原図
火傷病の解説へ戻る 「病害虫情報」トップページ |
|